キャンプや登山、農作物の収穫など、アウトドアでは多くの昆虫に出会う機会があります。その中には数は少ないものの、毒を持つ種類も存在します。
毒を持つ昆虫と聞くと、ハチを思い浮かべる人が多いかもしれません。しかし実際には、あまり知られていないものの、アウトドアで遭遇する可能性のある“意外な毒虫”もいます。
今回は、そうした毒を持つ昆虫たちに焦点を当て、どのような種類がいるのか、どんなシチュエーションで出会うことが多いのか、そして遭遇した際の対処法についても解説します。
あまり有名じゃないけど、身近にいる毒を持つ昆虫たち
すべての昆虫の中で、毒を持つものはほんの一部にすぎません。ここでは、スズメバチやドクガのように有名なもの以外で、あまり知られていないけれど毒を持ち、注意が必要な身近な昆虫5つを紹介します。
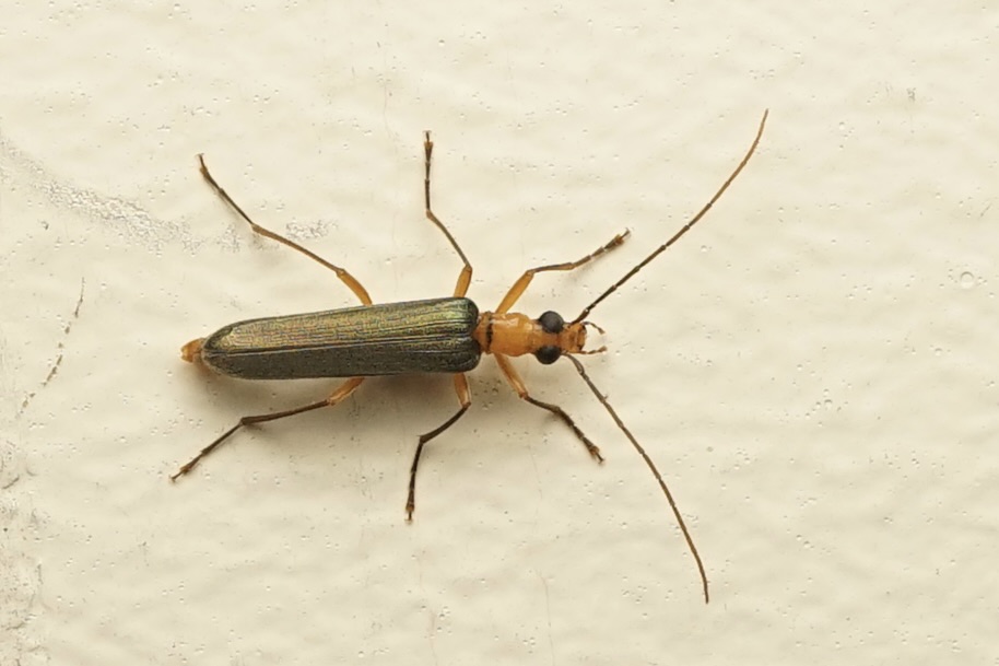
(1) アオカミキリモドキ
甲虫目カミキリモドキ科の一種で、北海道から沖縄まで全国的に分布しています。刺激を与えると、脚の関節からカンタリジンという有毒成分を含む黄色い液を出し、皮膚に触れると、痛みや水ぶくれを引き起こします。
(2) ツチハンミョウ
甲虫目ツチハンミョウ科の仲間を意味し、幼虫がハナバチの巣に寄生する習性があります。成虫は刺激を与えると、脚の関節からカンタリジンを含む黄色い毒液を出し、皮膚に触れると、炎症を引き起こします。
(3) アオバアリガタハネカクシ
甲虫目ハネカクシ科の一種で、全国に分布しています。体長6~7mm程ととても小さいですが、不意に潰しそうになると、有毒成分であるペデリンを含む液が出てきて、皮膚に触れると、火傷のようになってしまいます。このことから、ヤケドムシやデンキムシと呼ばれることもあります。
(4) ミイデラゴミムシ
甲虫目ホソクビゴミムシ科の一種で、国内では北海道~奄美大島まで分布しています。外部からの刺激を受けると、過酸化水素とヒドロキノンを混ぜ合わせて100℃にもなる高温の毒ガスをおしりから発射し、皮膚に触れると、炎症を引き起こします。その様子からヘッピリムシと呼ばれることもあります。
(5) タケノホソクロバの幼虫
毒を持つガの幼虫と言えば、ドクガやイラガの仲間が有名ですが、それら以外にも毒を持つ種類は存在します。全国に分布するマダラガ科の一種・タケノホソクロバの幼虫は毒を持っており、体の毛に皮膚が触れると、痛みを伴って、腫れ上がることがあります。大量発生することもよくあります。
注意すべきアウトドアシーン
ここまで、あまり知られていない毒を持つ昆虫たちについて解説してきましたが、次は彼らとはどのようなシーンで出会うことが多いのかについて解説いたします。
(1) 夜の灯り
多くの昆虫は灯りに集まる習性があります。今回、紹介した毒虫の中ではアオカミキリモドキは夏の夜に街灯や自動販売機などの灯りによく飛んでくるため、注意が必要です。また、ツチハンミョウの仲間が灯りの近くの地面を歩いていることもよくあります。
(2) 田んぼや畑の周り
田んぼや畑などの湿った場所には、ゴミムシやハネカクシの仲間が多く生息しています。先ほど紹介したアオバアリガタハネカクシやミイデラゴミムシも、そうした環境でよく見かける昆虫です。キャンプや農作物の収穫などでジメジメした場所に入ると、気づかないうちにこれらの昆虫を目にすることがよくあります。
(3) 竹林
タケノホソクロバの幼虫は5~11月頃、竹やササが生い茂る場所でよく見られます。特に家屋の近くなどによく生えている竹であるクロチクでよく見られます。







DIME MAGAZINE




















